اسلام آباد(مانیٹرنگ ڈیسک)مسیحی رہنماؤں نے کہا ہے سمندری طو فان ہم جنس پرستو ں کی وجہ سے آئے ہیں ۔تفصیلات کے مطابق ایوینجلیکل مسیحیوں کے رہنماؤں نے ہم جنس پرستوں پر الزام عائد کیاہے کہ سمندری طوفان ہاروی ان کی وجہ سے آیا وزیر کیون سونسن نے ریڈیو شو میں کہا کہ ہیوسٹن کا میئر ایک کٹر ہم جنس پرست ہے، قدرت نے ہمیں پیغام دیا ہے کہ ہم توبہ کر لیں۔ اور جب تک ہم یہ نہیں کرینگے ہمیں اسی طرح کے طوفانوں کا سامنا کرنا پڑیگا۔دریں اثنا سمندری طوفان
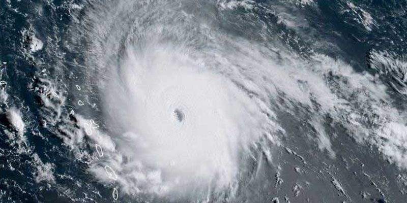
’ارما‘ کریبیئن جزائر میں تباہی مچانے کے بعد اب ہیٹی، کیوبا سمیت بحر اوقیانوس کے زیریں جانب بڑھ رہا ہے۔ طوفان کے باعث اب تک 14 ہلاکتیں ہوچکی ہیں،غیرملکی خبررساں ادارے کے مطابق بین الاقوامی امدادی ادارے آئی آر سی نے ایک بیان میں کہاکہ اس طوفان سے اب تک 12 لاکھ افراد متاثر ہوئے ہیں جبکہ یہ تعداد مزید بڑھنے کا خدشہ ہے۔امریکی ملک ہیٹی اوربرطانوی جزائر ٹرکس اینڈ کیکس ہنگامی حالات سے نمٹنے کی تیاری کر رہے ہیں۔ غربت زدہ ہیٹی کے اس سمندری طوفان کے باعث سب سے زیادہ متاثر ہونے کا خطرہ ہےکیونکہ ہیٹی تاحال 2010 میں آنے والے زلزلے کے باعث ہونے والی تباہی سے نمٹ رہا ہے۔جزائر ٹرکس اینڈ کیکس میں بھی اطلاعات کے مطابق طوفان آنے کا خطرہ موجود ہے، جہاں ممکنہ طور پر معمول سے ہٹ کر 20 فٹ بلند تباہ کن لہریں آ سکتی ہیں۔امریکی حکام کے مطابق اب تک خطے میں اس طوفان کے باعث 14 ہلاکتیں ہو چکی ہیں جبکہ ہلاکتوں کی تعداد میں اضافے کا خدشہ ہے۔امدادی ادارے ریڈ کراس کا کہنا تھا کہ ایک اندازے کے مطابق ارما سے متاثر ہونے والے افراد کی تعداد 12 لاکھ ہے جبکہ یہ تعداد تیزی سے بڑھ کر دو کروڑ 60 لاکھ تک پہنچ سکتی ہے۔نکاسی آب کا نظام خراب ہونے کے باعث وبائی امراض پھیلنے کا بھی خطرہ درپیش ہو گیا ہے۔برطانیہ کے زیر انتظام جزیرے ٹرکس اینڈ کیکس میں طوفان سے نمٹنے کے لیے تیاریاں جاری ہیں۔
جزیرے کی مجموعی آبادی 35 ہزار نفوس پر مشتمل ہے اور جزیرے کا بلند ترین مقام سطح سمندر سے صرف 163 فٹ کی بلندی پر ہے۔گورنر جان فریمن نے کہا کہ ’ہم نے ان بعض جزائر کو خالی کرانے کا فیصلہ کیا ہے جن کے متاثر ہونے کا زیادہ خطرہ ہے۔ یہاں سے نکالے جانے والے لوگوں کو عارضی رہائشگاہوں میں منتقل کیا جائے گا،ادھر جزائر کیکس و ترکیہ کے قدرتی آفات اور ہنگامی حالات سے نمٹنے کے ادارے کے ڈائریکٹر ورجنیا کلیورآکس نے کہا کہ ’ہمیں بارش اور طوفان دونوں ہی سے خطرہ ہے
، اور ہو سکتا ہے کہ ہم (رہائشیوں) کی امداد کے لیے وقت پر نہ پہنچ سکیں۔طوفان ارما کے باعث ہیٹی میں بھی بعض عمارتوں کو نقصان پہنچا ، اور سیلاب کے ساتھ ساتھ توانائی کا نظام بھی درہم برہم ہے۔سمندری طوفان ارما کیوبا سے ہوتا ہوا اتوار کو امریکی ریاست فلوریڈا سے ٹکرائے گا۔ کیوبا کے ساحل پر سیاحتی مقامات پر ہزاروں سیاح موجود ہیں۔ ان سیاحوں کو طوفان سے خطرہ لاحق ہو سکتا ہے۔برطانیہ، فرانس اور نیدر لینڈ نے طوفان میں ہنگامی حالات پر قابو پانے کے لیے اپنے بحری جہاز بھجوائے ہیں۔



















































